LiA Week 2 - Pom Pom
Hello Laidlaw people!
As the second week draws to a close, I wanted to summarise what it has brought.
At the beginning of the week, I managed to finish my Advanced Open Water course, meaning I am officially an 'Advanced Diver'. I plan to continue building on this next week, with the Rescue Course.
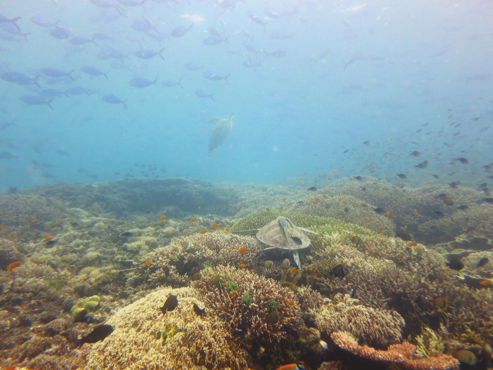
Again this week has been quite busy, with multiple underwater and beach cleanups, turtle and coral ID dives and a coral translocations. It has become increasingly more evident that the process of rebuilding the destroyed coral ecosystem around Pom Pom is one which will take years to decades, but it is still important that everyone plays their part in conserving it, and getting word out it the best way to do so.
A slightly different issue I have seen arise around the island is the clash between tourism and our conservation efforts. Although TRACC seems to have maintained a good relationship with the other resorts on the island, to the point where they will often listen to suggestions in order to develop more sustainable practices, there is still more to be done. During one of our translocation dives, we routinely deployed a surface marker buoy (SMB), before surfacing - these are used to warn boats on the surface that there are divers directly below who will likely be surfacing soon, and so to keep clear for the safety of the divers. Unfortunately, on this one occasion this was completely ignored, as we witnessed our SMB on the surface dragged underneath a tourist boat. Simultaneously, we saw divers from these boats enter the water wielding ropes attached to the boat to tie to coral or any structures they may find underwater, for anchoring purposes.
Not only could this potentially damage or at best stress the coral, we have also found our artificial reef (AR) structures loosened most likely because of this anchoring practice, directly reversing our conservation work. This highlights the importance of collaboration between TRACC and the tourism industry, and although they are no longer directly dropping anchors on coral, a major issue in the past and in other areas, this current practice is clearly still unsustainable. This particular company is based in Semporna rather than Pom Pom, so I've heard collaboration with them has been minimal. The ideal alternative would be mooring buoys, which I've heard had existed before they were stolen.
Other unsustainable practices of the resorts I've witnessed include the burning of plastics on the beach, which causes fumes to spread a concoction of pollutants and toxins over the sea which bioaccumulate in marine life tissue, potentially leading to reproductive and other health issues. The fight against trash is an ongoing battle as it seems more accumulates on the beaches everyday from Semporna, and so burning trash is the easiest method to rid themselves of the waste.
On this note, with the data we have collected from the beach cleanups TRACC's eventual plan is to organise a campaign to encourage more collaboration from the Ministry for the Environment and the marine park authorities to ban styrofoam, by far the highest polluting trash we collect.
Finally, I did not manage to have a look at the turtle facial ID software just yet, something I will try to look at next week.



Please sign in
If you are a registered user on Laidlaw Scholars Network, please sign in
Kaito, from local community impacts last week to tourism- environmental impacts this week, your observations around sustainable development are valued insights! The insights regarding Styrofoam is interesting, do the longer term researchers know if this has always been the case or if in the past litter like plastic bags made up a larger contribution? I hope you have the time to work on the turtle ID this week and good luck with the rescue diver training!
Hi Ruby-Anne, thanks for the positive feedback! Unfortunately, data collection of trash types is a practice TRACC only recently has begun doing, so the researchers weren't able to give me that information. But on a more qualitative basis, I've heard in the past plastic bottles were a main polluter according to one long-term volunteer. The thing about styrofoam, is that one clean-up (which we do everyday over the same ~100m of beach for consistency in surveying purposes) can yield up to 2000 pieces, ranging from tiny pieces to larger chunks, but never a fully formed item in tact. This demonstrates the main issue with styrofoam, that it is more subsceptible to fragment into more smaller pieces and potentially be ingested by marine life, which is why we believe more restrictions should be in place for it.